Lippische Landes-Zeitung: Nachrichten aus Lippe, OWL und der Welt

Kurz vor Mittelamerika

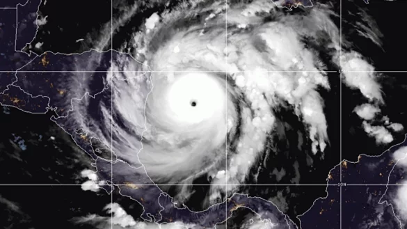
Hurrikan «Iota» erreicht höchste Gefahrenstufe

Miami - Vor seiner Ankunft in Mittelamerika hat sich der Sturm «Iota» zu einem Hurrikan der gefährlichsten Kategorie fünf entwickelt.

Mit anhaltenden Windgeschwindigkeiten von 260 Kilometern pro Stunde bewegte er sich am Montag auf die Küste von Honduras und Nicaragua zu, wie das Nationale Hurrikanzentrum der USA mitteilte. Dort werde er voraussichtlich am Abend (Ortszeit) Land erreichen und eine lebensbedrohliche Sturmflut sowie katastrophale Windschäden, sintflutartigen Regen, Überschwemmungen und Erdrutsche bringen.

Links zum Thema

Auch in den übrigen Ländern Mittelamerikas, Mexikos Yucatán-Halbinsel, Kolumbien und Jamaika war demnach mit Auswirkungen des Unwetters zu rechnen. Es wurde erwartet, dass der Wirbelsturm an Stärke verliert, nachdem er Land erreicht, und sich am Mittwoch über Mittelamerika auflöst.

Der Wirbelsturm war am Sonntag zum 13. Hurrikan der besonders intensiven diesjährigen Saison im Atlantik geworden. Die Region leidet noch unter den Folgen des Sturms «Eta», der am 3. November als Hurrikan der Kategorie vier auf die Küste Nicaraguas getroffen war. Er verwüstete Gebiete in mehreren Ländern und setzte ganze Landstriche unter Wasser. Mehr als 150 Todesfälle wurden registriert. Nicht mitgerechnet sind die rund 100 Bewohner eines Dorfes in Guatemala, das von einem Erdrutsch verschüttet wurde.

Millionen Menschen in Mittelamerika, Mexiko und der Karibik waren von dem Sturm betroffen. Tausende Familien verloren ihr Zuhause. 1,5 Millionen Menschen brauchen nach Angaben der Organisation World Vision dringend humanitäre Hilfe. Das Unwetter traf eine großteils arme Region, die durch die Coronavirus-Pandemie und ihre wirtschaftlichen Auswirkungen bereits zusätzlich geschwächt ist.

«Iota» ist bereits der 30. Sturm in diesem Jahr, der stark genug war, um einen Namen zu bekommen - der bisherige Rekord lag bei 28. In der diesjährigen Hurrikan-Saison im Atlantik, die von Juni bis November dauert, haben sich so viele starke Stürme gebildet, dass die 21 dafür vorgesehenen Namen längst aufgebraucht sind. Die Meteorologen griffen deshalb erstmals seit 15 Jahren auf das griechische Alphabet zurück. Die zunehmende Intensität tropischer Wirbelstürme ist Experten zufolge eine Folge des Klimawandels.

© dpa-infocom, dpa:201116-99-353679/2

Copyright © Lippische Landes-Zeitung 2026
Copyright © dpa - Deutsche Presseagentur 2026
Inhalte von lz.de sind urheberrechtlich geschützt.
Weiterverwendung nur mit Genehmigung der Chefredaktion.