Lippische Landes-Zeitung: Nachrichten aus Lippe, OWL und der Welt

Meteorologe erwartet schlimme Bilder durch Hurrikan Melissa

veröffentlicht

  • 0
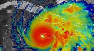
Der große Hurrikan «Melissa» ist auch aus dem Weltall sichtbar. - © Uncredited/NOAA/AP/dpa
Der große Hurrikan «Melissa» ist auch aus dem Weltall sichtbar. (© Uncredited/NOAA/AP/dpa)

Der gefährliche Hurrikan «Melissa» soll in Kürze in Jamaika auf Land treffen - ein Meteorologe des Deutschen Wetterdienstes (DWD) erwartet fatale Folgen und «schlimme Bilder». Es handele sich um einen extrem intensiven Hurrikan der höchsten Kategorie 5. Noch bewege sich der Sturm relativ langsam. Das passiere, wenn kaum Höhenwinde vorhanden seien, die den Sturm weiterleiten, erklärt der DWD-Meteorologe. Der Hurrikan könnte aber bald auch deutlich an Geschwindigkeit gewinnen.

Welche Rolle spielt der Klimawandel?

Christian Otto, Experte vom Potsdam-Institut für Klimafolgenforschung, erklärt: «Der Einfluss des Klimawandels auf tropische Wirbelstürme ist bereits messbar, und die mit diesen Stürmen verbundenen Risiken werden sich im Zuge der weiteren Erderwärmung voraussichtlich weiter erhöhen.» Sicher sei, dass der von Menschen verursachte Ausstoß von Treibhausgasen zu einer Erwärmung der Erde und damit zu einem Anstieg der Meeresspiegel führt, was das Risiko schwerer Sturmfluten durch tropische Wirbelstürme erhöht.

Ein Mann geht spazieren, während sich der Hurrikan "Melissa" nähert. - © Matias Delacroix/AP/dpa
Ein Mann geht spazieren, während sich der Hurrikan "Melissa" nähert. (© Matias Delacroix/AP/dpa)

Zudem könne wärmere Luft mehr Feuchtigkeit aufnehmen. In Kombination mit einer tendenziell langsameren Zuggeschwindigkeit der Wirbelstürme im Nordatlantik könne dies zu lokal höheren Niederschlagsmengen führen. «Zudem ist es wahrscheinlich, dass der Anteil der Stürme mit besonders hohen Windgeschwindigkeiten in Nordatlantik zunimmt, auch wenn die Gesamtzahl der Stürme leicht abnehmen könnte», so Otto.

Melissa sei ein gutes Beispiel für einen besonders starken, langsam ziehenden Hurrikan, der dadurch große Niederschlagsmengen über Jamaika abladen und große Sturmflutschäden verursachen könne.

Bereits mehrere Tote gemeldet

Der Hurrikan zieht laut dem US-Hurrikanzentrum in Miami mit einer anhaltenden Windgeschwindigkeit von 290 Kilometern pro Stunde auf den Süden der Karibikinsel zu. In Haiti und der Dominikanischen Republik kamen nach heftigen Regenfällen mindestens vier Menschen ums Leben. In Jamaika wurden bei den Vorbereitungen auf den Sturm drei Menschen getötet.

Copyright © Lippische Landes-Zeitung 2025
Inhalte von lz.de sind urheberrechtlich geschützt.
Weiterverwendung nur mit Genehmigung der Chefredaktion.